Real Estate Advisory
P.O. Box 61Mabouya Valley, Dennery

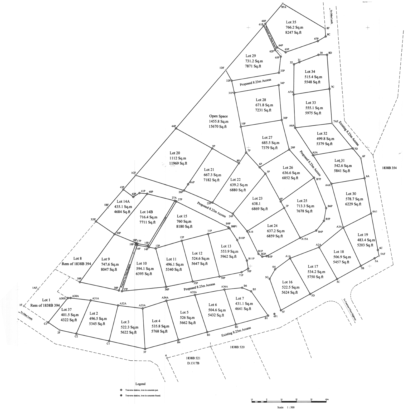
Bois Jolie Land

36 lots of land are available for purchase at Bois Jolie, Dennery. Select an area for more details.

Bois Jolie Land
Lot #19

Lot #19

  • Lot 19
  • 483.4 Sq.m
  • 5203 Sq.ft

[ess_grid alias=”grid-1″]